DONGEN
Gemeentenweg 39 - 5106 NK
Die Niederlande

Sabina Robbe profile image
Sabina Robbe
Real Estate Agent
€2,850,000 k.k.
Wohnbereich
447m2
Grundstücksgröße
3610m2
Schlafzimmer
6

Beschreibung

A Truly Exceptional Property

This fully renovated 18th-century Brabantian long farmhouse, designated as a national monument, seamlessly combines historic charm with modern comfort. Set on a generous 3610 m² plot, the property features a stately driveway, an exquisitely landscaped garden with multiple ponds, a heated swimming pool, and a luxurious guesthouse complete with a kitchen, sauna, and mezzanine. Every aspect of the home has been carefully restored and upgraded, preserving its historic integrity while offering every modern convenience.

Property Highlights

Billiard Room: An elegant, original space with a fireplace and a restored oak floor, perfect for relaxation or entertaining.
Living Kitchen: A spacious kitchen with a Belgian blue stone floor and a central island, equipped with modern appliances including a 5-burner gas stove, steam oven, and American fridge.
Living Room: A bright, open space with views of the garden, original beams, and a modern tunnel fireplace. The room connects to the mezzanine above, offering an airy feel and a sense of openness.
First Floor: The master bedroom, along with two additional spacious bedrooms, is complemented by a luxurious bathroom featuring a freestanding bathtub, walk-in shower, double vanity, and a separate toilet. The home office overlooks the living area below, offering a serene workspace.

Guesthouse
The “Handmade by Rasenberg” guesthouse is a true gem, with a spacious living area, a four-person sauna, a pantry kitchen, and an open fireplace. The guesthouse is beautifully insulated and features large sliding doors, allowing natural light to flood the space. A steel spiral staircase leads to the study and private bedroom on the upper floor. The high-quality thatched roof complements the farmhouse, creating a harmonious and luxurious atmosphere.

Stunning Garden and Outdoor Living
The meticulously designed garden offers total privacy, featuring multiple ponds, well-maintained lawns, and an automatic irrigation system. The back of the property is home to a stunning heated swimming pool with a jet streamer and an automatic cover. The guesthouse, which could also serve as an outdoor kitchen or bar during the summer, overlooks the pool area. A rietgedekte (thatched) carport is discreetly placed at the side of the property, providing space for two cars.

Historical Charm Meets Modern Luxury

National Monument: Dating back to around 1704, this Brabantian long farmhouse has been carefully preserved and upgraded.
Fully Renovated: Every detail, from the insulated roof and walls to the heated floors, has been meticulously restored.
Modern Amenities: The home features underfloor heating, Velux skylights, air conditioning, and a high-end alarm system.
Separate Heating Systems: The farmhouse, guesthouse, and pool each have their own heating systems for maximum efficiency.

Property Details

Living space: 323 m² (main house), 124 m² (guesthouse).
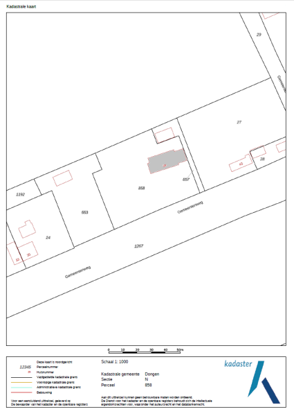
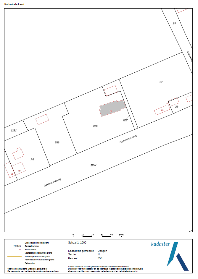
Plot size: 3610 m².
Unique, private location, offering both tranquility and convenience.
Multiple ponds, a heated pool, and beautifully landscaped gardens.
Fully enclosed with electric gates at both the front and rear.

This remarkable property offers a once-in-a-lifetime opportunity for those seeking an extraordinary home that combines history, luxury, and privacy. The perfect setting for a discerning buyer looking for a residence with character and charm.

Entdecken Sie Dongen mit Baerz, Ihrem vertrauenswürdigen persönlichen Immobilienfinder und Berater

Die Navigation durch Dongens Luxusmarkt erfordert Expertise – von der diskreten Immobiliensuche bis zu den Besonderheiten denkmalgeschützter Objekte. Kompetente Berater haben exklusiven Zugang und übernehmen als Mittler die Interessensvertretung ihrer Mandanten mit fundiertem Marktverständnis. Sie begleiten nicht nur den Kauf oder Verkauf, sondern vermitteln darüber hinaus Kontakte zu lokalen Dienstleistern und Experten. Dieser individuelle Ansatz gewährleistet reibungslose, diskrete Transaktionen in einem beziehungsbasierten Markt.

Besondere Merkmale

Schwimmbad
Klimaanlage

Merkmale

Eigentumsübertragung
Verkaufspreis
€ 2.850.000 k.k.
Status
beschikbaar
Annahme
in overleg
Bau
Art des Hauses
Villa
Gebäudetyp
vrijstaande woning
Bauzeitraum
1807
Dachtyp
schilddak
Schlafzimmer
6
Badezimmer
2
Flächen und Volumen
Wohnbereich
447 m2
Andere Innenräume
4 m2
Außenbereich am Gebäude
44 m2
Externer Lagerraum
10 m2
Volumen in Kubikmetern
1672 m3
Grundstücksgröße
3610 m2
Einrichtungen
Mechanische ventilatie
Tv kabel
Zwembad
Airconditioning
Rookkanaal
Sauna
Vrij uitzicht
Baerz & Co Property Brochure

Broschüre

Videos

360°-Panoramen

360°
360 Panorama - Gemeentenweg 39
360°
360 Panorama - Gemeentenweg 39
360°
360 Panorama - Gemeentenweg 39
360°
360 Panorama - Gemeentenweg 39
360°
360 Panorama - Gemeentenweg 39
360°
360 Panorama - Gemeentenweg 39
360°
360 Panorama - Gemeentenweg 39
360°
360 Panorama - Gemeentenweg 39
360°
360 Panorama - Gemeentenweg 39
360°
360 Panorama - Gemeentenweg 39
360°
360 Panorama - Gemeentenweg 39
360°
360 Panorama - Gemeentenweg 39
360°
360 Panorama - Gemeentenweg 39

Grundrisse

Van de Zande Makelaardij - Waalwijk

Grotestraat 344
5142 CD Waalwijk

sabina@zande.nl
+31 416 333059

www.zande.nl

Information / Besichtigungsanfrage

Sabina Robbe profile image
Sabina Robbe
Real Estate Agent